Area 392/393 geophysical survey

Tarmac Marine, Mersey Sand Suppliers

Hydrographic-Geophysical Survey

Aggregate producers were required to undertake a monitoring survey in fulfilment of a marine licence issued by Natural Resources Wales.

ABPmer was asked to conduct a geophysical survey in the summer within aggregate extraction Area 392/393, located 10-20km north west of the mouth of the Dee Estuary, immediately to the east of the Gwynt y Môr offshore wind farm.

A high-resolution Norbit iWBMS, with integrated inertial positioning system, was installed on the Port of Mostyn’s pilot vessel Patricia. Survey operations took place on a 12-hour basis operating out of the Port.

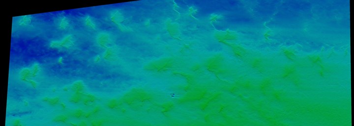
Full coverage bathymetry was acquired in two main sections of the aggregate extraction area.

To gain better images of three previously identified seabed objects, we set the multibeam to acquire data with a narrow beam at slow vessel speed.

Multibeam data was subsequently processed, and results compared against the previous surveys conducted in 2017 and 2014.


ABPmer's surveyors support marine developments with a comprehensive understanding of the seabed, delivering quality maps and analysis of depth and features. Learn more about our hydrographic-geophysical survey capability.

area-392-393-survey-420x150 (1).jpg

Paul Clement

Ready to talk to a surveyor?

GET IN TOUCH
Logo

Marine and Coastal Survey - part of ABPmer

Contact us

ABPmer
Quayside Suite
Medina Chambers
Town Quay
Southampton
SO14 2AQ

E-zine sign-up